-

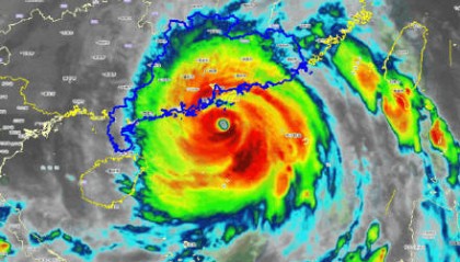
深圳已进入桦加沙10级风圈
据广州市气象台今早7时30分发布的消息,受台风影响,过去1小时,广州市出现分散阵雨,356个站点(6...
欧意交易所 2025-09-24 20
-

从今天开始,全球市场将进入“超级72小时”
图片来源视觉中国 动图由豆包AI「照片动起来」生成 美两国贸易谈判释放积极信号,但全球市场依然不能...
okex官网下载 2025-07-31 35
-

半年亏超18亿!广汽全面进入“战时状态”
广汽直面过往对市场的误判,全面筹划反攻。 近日,正值转型关键阶段的广汽集团发布2025年上半年业绩预...
欧意okex官网 2025-07-18 42
-

首次进入政府工作报告的“具身智能”是什么?
中新经纬3月6日电 (薛宇飞 李晓萱)今年的政府工作报告指出,建立未来产业投入增长机制,培育生物制造...
欧意交易所 2025-03-06 52
-

京东或将率先进入币圈市场,是福还是祸?
京东币链科技的震撼登场:或将开启币圈全新篇章! 如今,一场巨大的变革似乎正在悄然降临——据悉,实力强...
okex官网下载 2024-09-06 76
